Author: Kurt Treftz, Cascade Pest Control
Argentine Ants are one of the 100 worst invasive species on earth. Over the last 100 years, they have made inroads from their established range to over six continents and many islands. They have also created quite a foothold right here in the Pacific Northwest.
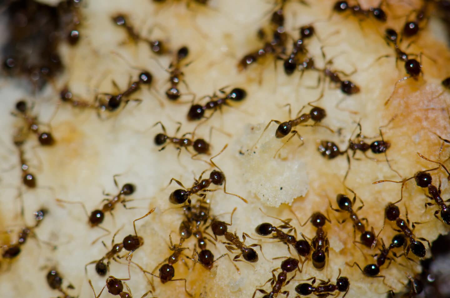
Identifying Argentine Ants
Appearance
Argentine ants are shiny with dark brown to black coloring. They are very small from 1/16”-¼” in size. They have a smooth, hairless body and a 12-segmented antennae.
Habits
These ants create enormous colonies (sometimes called supercolonies) with multiple queens which means they reproduce and grow quickly. Unlike most ant species, all ants are the same size and queens will also forage outside the nest.
Argentine ants are very efficient foragers who use pheromone trails to locate food sources, so they don’t waste time returning to the same areas over and over. Workers will form wide trails which are often very noticeable. If you see one around your home, you likely have an infestation. Argentine ants are aggressive toward other ant species.
Diet
Argentine ants are omnivorous, but they prefer sweet foods, especially honeydew from aphids. However, they will also eat eggs, oils, meat, etc. They will seek more protein during the peak reproductive months in the summer which is why they may infiltrate homes during these months as well.
Habitats
Argentine ants create shallow nests (less than 8”) in the soil, especially moist areas like under logs, wood, debris, or mulch. They will also nest in the base of shrubs and trees. In more urban environments they will make their home under sidewalks, boards, or stones. Some colonies are so massive they cover city blocks. Regardless of where they make their home, they will always seek a good water source.
Concerns about Argentine Ants
Invasive
Argentine Ants are not native to the Seattle / Pacific Northwest region. They are an invasive species native to Argentina, Uruguay, Paraguay, Bolivia, and southern Brazil. However, they have become widespread throughout the United States, particularly in the Pacific Northwest, Arizona, Missouri, Illinois, Indiana, and Maryland. The first recorded Argentine ants in California were found in 1907. But they may have been introduced as early as the late 1800s in New Orleans aboard coffee ships from Brazil.
Damaging
While Argentine ants do not sting or bite humans, they are more than just a nuisance. This little invasive creature has become a threat to the natural environment, local ants species, and agricultural economy.
This ant specie is extremely aggressive with natural ant species and have been known to disrupt native ants, pollinators, and even vertebrates (like the coasted horned lizard of CA, who lost their preferred prey, the native California harvester ant). They also threaten crops by protecting potential pest insects (like mealybugs, scales, and aphids) whom they defend from predators in order to harvest their honeydew. They even move these pests into more favorable microclimates and help to maximize their honeydew production which destabilizes the natural environment and threatens cash crops. These ants also pose a problem in residential and urban settings where they infest homes and businesses.
Controlling Argentine Ants
Argentine ants are extremely difficult to control because of their rapid reproduction, multiple queens, and a sheer foothold. Most effective forms of eradication involve targeted baiting where the poison reaches the whole colony and slowly penetrates.
California had particularly success with this method as they attempted to eliminate Argentine ants from Santa Cruz Island. Wide-spread spraying of insecticide is not particularly effective. Other control methods involve sanitation and exclusion (i.e. don’t invite them in).
Excess moisture
Argentine ants are particularly attracted to a good source of water. Make sure you don’t have leaks, standing water, dripping irrigation, or other water sources that could make your home or business attractive.
Entry points
Seal up entry points. Watch for ant trails and reduce opportunities for these ants to enter your home. Maintain screens and add sweeps to the bottoms of doors.
Clean up organic material
Sanitize your yard. In other words, keep it clear of rotting vegetation and other debris that can attract these ants to your home.
Use slow-release bait
As mentioned above, broadcast spraying near nests is not effective. In fact, it may cause Argentine ants to break off and create new nests making the infestation worse. Instead, use a bait that workers carry back to the nest to kill off the colony or call the ant exterminator experts at Cascade Pest Control for help 888-989-8979.
